Blekot pospolity to jeden z najbardziej niebezpiecznych chwastów, który może stanowić poważne zagrożenie dla zdrowia ludzi i zwierząt. Jego toksyczność wynika z obecności szkodliwych związków chemicznych, takich jak koniina i cynapina. Wzrost tej rośliny w pobliżu pól uprawnych oraz w ogrodach może prowadzić do tragicznych pomyłek, zwłaszcza gdy blekot jest mylony z bezpiecznymi roślinami, takimi jak pietruszka.
W artykule omówimy, jak rozpoznać blekot pospolity i jakie środki ostrożności należy podjąć, aby uniknąć zatrucia. Zrozumienie jego charakterystycznych cech oraz potencjalnych skutków zdrowotnych jest kluczowe dla zapewnienia bezpieczeństwa. Przedstawimy również skuteczne strategie zarządzania tą rośliną w uprawach, aby zminimalizować ryzyko jej rozprzestrzenienia.
Kluczowe informacje:- Blekot pospolity zawiera toksyczne związki, które mogą prowadzić do poważnych problemów zdrowotnych.
- Roślina ta jest trudna do odróżnienia od pietruszki, co zwiększa ryzyko przypadkowego spożycia.
- Objawy zatrucia obejmują zaburzenia równowagi, wymioty, drgawki i paraliż.
- Wczesne rozpoznanie i skuteczne usuwanie blekotu pospolitego jest kluczowe dla ochrony upraw.
- Istnieją skuteczne metody zwalczania blekotu w rolnictwie, w tym stosowanie odpowiednich środków chwastobójczych.
Rozpoznawanie silnie trującego chwastu dla bezpieczeństwa ludzi i zwierząt
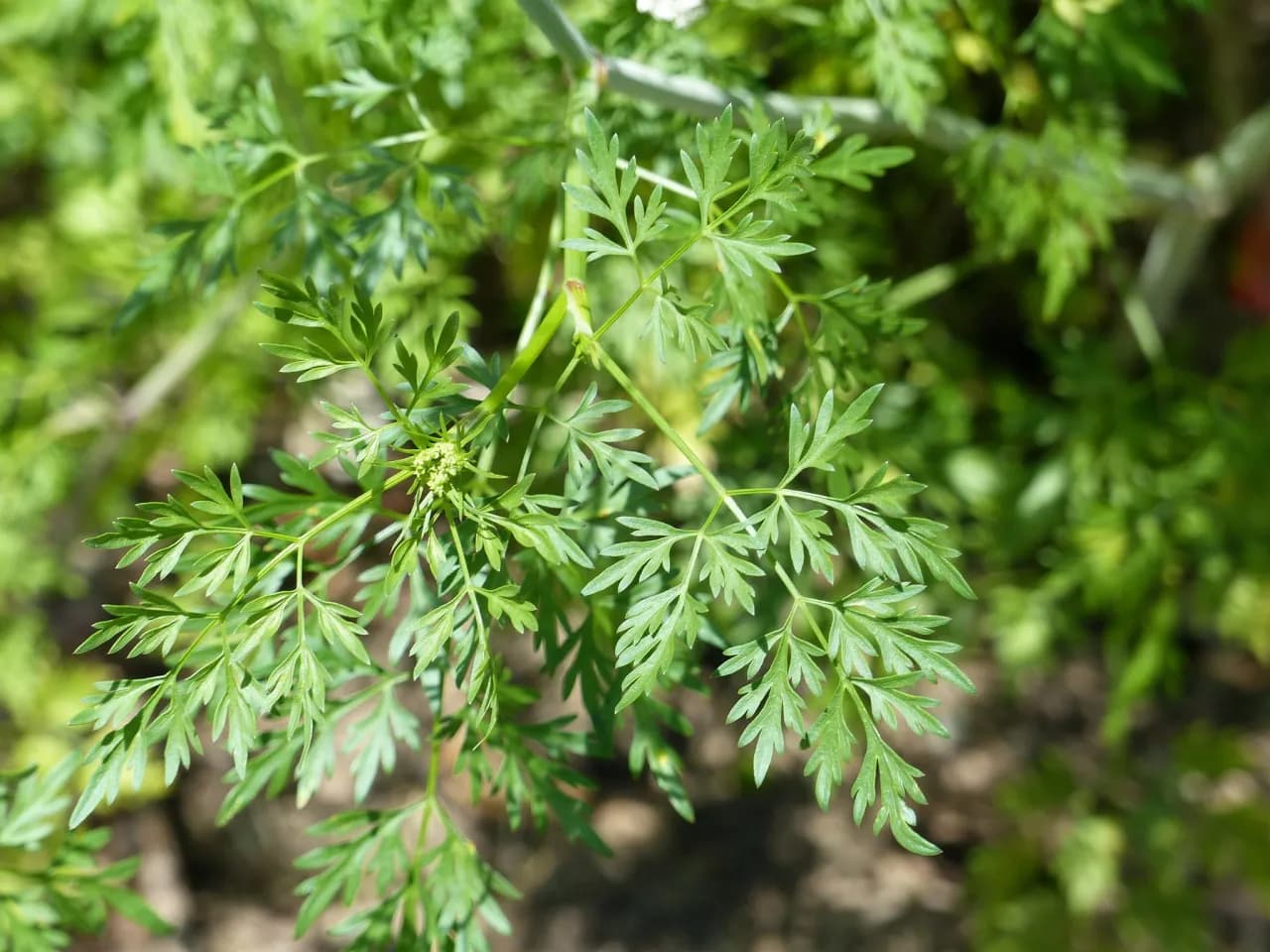
Blekot pospolity to silnie trujący chwast, którego rozpoznanie jest kluczowe dla zapewnienia bezpieczeństwa ludzi i zwierząt. Roślina ta, należąca do rodziny selerowatych, osiąga wysokość od 30 do 80 cm. Charakteryzuje się kanciastą, bruzdowaną łodygą, która często jest pusta w środku. Występuje głównie na przydrożach, w polach uprawnych oraz w ogrodach, co sprawia, że jej obecność może stwarzać zagrożenie.
Liście blekotu pospolitego przypominają liście pietruszki, co może prowadzić do niebezpiecznych pomyłek. Kwiaty są drobne, białe i zebrane w baldachy, co również przyczynia się do trudności w identyfikacji. Warto zwrócić uwagę na habitat tej rośliny, ponieważ preferuje żyzne, wilgotne gleby, co sprzyja jej intensywnemu wzrostowi.
Charakterystyczne cechy blekotu pospolitego, które musisz znać
Aby skutecznie rozpoznać blekot pospolity, warto znać jego kluczowe cechy. Roślina ta ma liście o kształcie podobnym do pietruszki, jednak ich struktura jest bardziej złożona. Kwiaty są małe, białe i zebrane w baldachy, co czyni je łatwymi do zauważenia w okresie kwitnienia. Dodatkowo, blekot pospolity ma wyraźną, kanciastą łodygę, co jest istotnym punktem identyfikacyjnym.
- Liście mają kształt przypominający pietruszkę, ale są bardziej złożone.
- Kwiaty są białe, drobne i zebrane w baldachy, co ułatwia identyfikację.
- Łodyga jest kanciasta, bruzdowana i często pusta w środku.
Jak odróżnić blekot od bezpiecznych roślin, takich jak pietruszka
Rozróżnienie blekotu pospolitego od bezpiecznych roślin, takich jak pietruszka, jest kluczowe dla uniknięcia niebezpieczeństw związanych z jego toksycznością. Blekot ma liście, które na pierwszy rzut oka mogą przypominać liście pietruszki, ale są bardziej złożone i mają głębsze wcięcia. Kwiaty blekotu są drobne, białe i zebrane w baldachy, co odróżnia je od kwiatów pietruszki, które są mniej gęste i mają inny kształt. Dodatkowo, łodyga blekotu jest kanciasta i bruzdowana, co również stanowi istotny element identyfikacji.
Warto również zwrócić uwagę na zapach. Liście pietruszki mają charakterystyczny, świeży aromat, podczas gdy blekot nie wydziela tak intensywnego zapachu. Wzrok i węch mogą być pomocne w odróżnieniu tych roślin, ale zawsze najlepiej jest być ostrożnym i upewnić się, że roślina jest bezpieczna przed jej zjedzeniem.
Objawy zatrucia blekotem pospolitym u ludzi i zwierząt
Po spożyciu blekotu pospolitego, zarówno ludzie, jak i zwierzęta mogą doświadczać poważnych objawów zatrucia. Wśród najczęstszych symptomów znajdują się zaburzenia widzenia, które mogą prowadzić do dezorientacji i trudności w poruszaniu się. Osoby zatrute mogą także odczuwać wymioty oraz silne bóle brzucha, co jest wynikiem działania toksycznych związków chemicznych, takich jak koniina. Innym poważnym objawem jest drgawki, które mogą wystąpić w wyniku uszkodzenia układu nerwowego. W skrajnych przypadkach, zatrucie może prowadzić do paraliżu oraz problemów z oddychaniem, co wymaga natychmiastowej interwencji medycznej.
Długoterminowe skutki zdrowotne związane z zatruciem
Osoby, które przeżyły zatrucie blekotem pospolitym, mogą borykać się z długoterminowymi skutkami zdrowotnymi. Wśród potencjalnych problemów znajdują się chroniczne zaburzenia neurologiczne, które mogą wpływać na codzienne funkcjonowanie. Zatrucie może powodować stałe uszkodzenia układu nerwowego, co prowadzi do problemów z koordynacją i równowagą. Ponadto, osoby te mogą doświadczać trwałych bólów głowy oraz zmęczenia, które mogą utrudniać normalne życie. W niektórych przypadkach, długoterminowe skutki mogą obejmować również problemy z pamięcią i koncentracją.
Skuteczne strategie unikania zatrucia blekotem pospolitym
Aby uniknąć zatrucia blekotem pospolitym, kluczowe jest zwiększenie świadomości i edukacja na temat tej rośliny. Jednym z najważniejszych kroków jest uczenie się o charakterystycznych cechach blekotu, aby móc go łatwo rozpoznać w terenie. Regularne uczestnictwo w warsztatach lub kursach dotyczących identyfikacji roślin może znacząco pomóc w unikaniu pomyłek. Ważne jest również, aby zawsze zachować ostrożność przy zbieraniu dzikich ziół, nawet jeśli wydają się one znajome.
Warto także informować innych o zagrożeniach związanych z blekotem pospolitym, zwłaszcza w społecznościach rolniczych i ogrodniczych. Współpraca z lokalnymi organizacjami, które prowadzą kampanie edukacyjne, może przyczynić się do zmniejszenia ryzyka zatrucia. Pamiętaj, aby zawsze konsultować się z ekspertami przed spożyciem jakiejkolwiek rośliny, której nie jesteś pewien, i nigdy nie zbierać roślin w okolicach, gdzie mogą one być zanieczyszczone chemikaliami.
Praktyczne porady dla ogrodników i rolników w identyfikacji
Dla ogrodników i rolników, kluczowe jest, aby znać metody identyfikacji blekotu pospolitego w swoich uprawach. Regularne inspekcje pól oraz znajomość sezonowych zmian w wyglądzie rośliny mogą pomóc w wczesnym wykryciu blekotu. Warto również korzystać z aplikacji mobilnych lub przewodników po roślinach, które mogą ułatwić identyfikację. Współpraca z innymi rolnikami oraz uczestnictwo w lokalnych grupach dyskusyjnych może pomóc w wymianie doświadczeń i najlepszych praktyk w zakresie identyfikacji i zarządzania blekotem.
Jak bezpiecznie usunąć blekot pospolity z upraw i ogrodów
Bezpieczne usunięcie blekotu pospolitego z upraw i ogrodów jest kluczowe dla ochrony ludzi i zwierząt. Przede wszystkim, zaleca się noszenie odpowiedniego sprzętu ochronnego, takiego jak rękawice i maski, aby uniknąć kontaktu z toksycznymi substancjami. Najlepiej jest usuwać blekot ręcznie, starając się wyciągnąć całą roślinę, łącznie z korzeniami, aby zapobiec jej odrastaniu. W przypadku większych infestacji, można zastosować środki chwastobójcze, jednak należy wybierać te, które są skuteczne przeciwko blekotowi, ale jednocześnie bezpieczne dla innych roślin oraz środowiska.
Po usunięciu rośliny, warto dokładnie oczyścić miejsce z pozostałości, aby zminimalizować ryzyko ponownego wzrostu. Regularne monitorowanie upraw i ogrodów na obecność blekotu pospolitego jest kluczowe dla wczesnego wykrywania i eliminacji tej rośliny. Warto również edukować innych o metodach usuwania blekotu, aby wspólnie dbać o bezpieczeństwo w okolicy.
Czytaj więcej: Najlepsze rośliny na żywopłot szybko rosnące – jakie wybrać i jak o nie dbać?
Kontrola i zarządzanie populacją blekotu w uprawach
Efektywna kontrola populacji blekotu pospolitego w uprawach wymaga zintegrowanego podejścia. Kluczowe jest regularne monitorowanie pól i ogrodów, aby wcześnie wykrywać nowe przyrosty tej rośliny. Można zastosować różne metody, takie jak mechaniczne usuwanie, które polega na ręcznym wyrywaniu roślin lub ich koszeniu przed kwitnieniem. Warto również wprowadzać rośliny konkurencyjne, które mogą zmniejszyć przestrzeń dostępną dla blekotu, co ograniczy jego wzrost.
W przypadku silnych infestacji, można rozważyć użycie herbicydów. Ważne jest, aby wybierać preparaty, które są skuteczne przeciwko blekotowi, ale jednocześnie nie szkodzą innym roślinom ani nie wpływają negatywnie na środowisko. Poniżej znajduje się tabela z przykładami herbicydów i ich skutecznością w zwalczaniu blekotu pospolitego:
| Nazwa herbicydu | Skuteczność |
|---|---|
| Maister Power 42,5 OD | Wysoka |
| Roundup | Średnia |
| Glyphosate 360 | Wysoka |
Innowacyjne metody ekologicznego zwalczania blekotu pospolitego
W obliczu rosnących obaw o ekologiczne skutki stosowania chemicznych herbicydów, warto rozważyć innowacyjne metody ekologicznego zwalczania blekotu pospolitego. Jednym z podejść jest wykorzystanie naturalnych wrogów blekotu, takich jak niektóre gatunki owadów, które mogą pomóc w kontrolowaniu populacji tej rośliny. Wprowadzenie do ogrodów i pól roślin towarzyszących, które przyciągają owady zapylające, może stworzyć zrównoważony ekosystem, w którym blekot będzie miał trudności z przetrwaniem.Dodatkowo, stosowanie mulczowania oraz przykrywania gleby materiałami organicznymi może ograniczyć wzrost blekotu, blokując dostęp światła do jego nasion. Takie techniki nie tylko pomagają w walce z niebezpiecznymi chwastami, ale także poprawiają jakość gleby i wspierają bioróżnorodność w ogrodzie. W miarę jak rolnicy i ogrodnicy stają się coraz bardziej świadomi wpływu swoich działań na środowisko, te ekologiczne metody mogą stać się kluczowym elementem strategii zarządzania uprawami.






